Highland Park, Garfield Hts, OH

Before and After

Before imageAfter image
Before imageAfter image
Before imageAfter image
Before imageAfter image
Highland Park

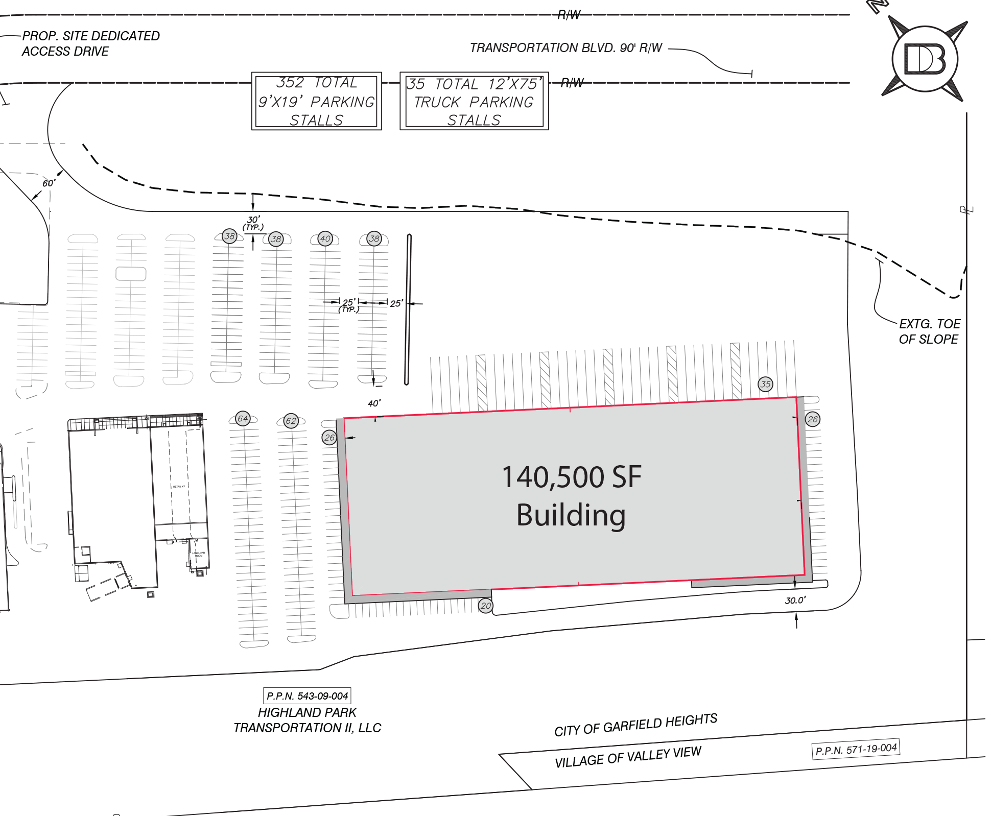
5638 Transportation Blvd

Garfield Heights, OH 44125

Region: northeast ohio / Cuyahoga County

Property Details

Proposed Sq. Ft.: 140,000

Acres: 60

Buildings on this site

Contact

team_Austin Semarjian

Austin Semarjian

Executive Vice President
216-570-2270
OUR LOCATION
Industrial Commercial Properties LLC
6110 Parkland Blvd.
Cleveland, Ohio 44124
Phone: 440-539-1046

    CONTACT US

    This site is protected by reCAPTCHA and the Google Privacy Policy and
    Terms of Service apply.